|
OCTOBER 2025 |
Looking for Leaders |
In the past few weeks we have seen impressive leadership from some of Hermiston's young residents. The Youth Advisory Council, a class of high school students who participate in City Council and committee meetings, have been joining the public discussions of the city's current issues and future goals.
Just this week, a cohort of home school students toured City Hall and the Library, asking questions and learning how city government works.
|
 |
A home school group tours the remodeled library on Sept. 29. Read more about the grand re-opening in the Your City section.
Hermiston’s strength has always come from the people who call it home. Neighbors who care about one another working together to shape our future. Local people using their experience and talents to build up those around them. If this sounds like you, there are opportunities right now to get involved and make a difference.
In May 2026, four City Council positions will be up for election. Serving on the Council is a meaningful way to help guide the policies and priorities that make Hermiston thrive. You can learn more about how to run for City Council at www.hermiston.gov/elections.
If you’re looking for other ways to guide and support city programs, we also have a variety of committees and volunteer opportunities that rely on community members with diverse skills and perspectives. Explore those options at www.hermiston.gov/volunteer.
Hermiston is strongest — and sweetest — when many voices are part of the conversation. I encourage you to get involved and use your insight, passion, and perspective to truly make a difference.
— Byron Smith, Hermiston City Manager
|
|
|
YOUR CITY |
 |
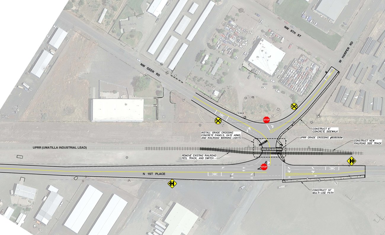
Geer & Harper Overhaul Coming in 2026 |
Beginning in Spring 2026, the City of Hermiston will launch long-awaited improvements to the Geer/Harper intersection. This often requested project will require a full closure of the intersection.
The current design is inefficient, and fixing it has been one of the community’s highest priorities for years. While construction will bring short-term challenges, the result will be a safer, more efficient roadway that better serves Hermiston’s growing community.
We encourage residents, businesses, and commuters to share this information early so everyone has time to plan ahead. More details on closure timing and detour routes will be provided as construction approaches.
|
More About the Project
|
 |
Come Explore the Renovated Library
After nearly a year of renovation, the Hermiston Public Library is ready to welcome the community back! Join us Friday, Oct. 10, at 10 a.m. for a ribbon cutting, guided tours, and a first look at exciting new features — including a Makers Space with 3D printing, expanded youth areas, and more.
Visitors will also enjoy new art installations, including a giant Lite-Brite in the children’s area and artwork by renowned local artist Hiroko Cannon.
The renovation was funded through Enterprise Zone dollars committed by both the City of Hermiston and Umatilla County, supported by projects from Lamb Weston and Amazon currently underway.
|
Read More
|
 |
Community Forest Project Goes to Work
This summer the Hermiston Parks & Recreation Department created an inventory of Hermiston’s public trees and developed a plan to maintain and manage them.
In August, they began pruning and removing trees that were identified as a major priority and planting new trees in places that need them. This includes taking down the large cottonwood by the concession stand at Butte Park, which has caused plumbing and structural issues due to its proximity to the building.
Healthy trees are part of a healthy community. You can see the full list of Hermiston's public trees and learn more about the Hermiston Community Forest Project here.
|
 |
Welcome to Hermiston
The new illuminated sign has been installed on the south end of Highway 395 to welcome people into Hermiston and more clearly direct them to the airport. Once the landscaping is complete, the sign will also be clearly visible from the north. Thanks for your patience as we updated this sign to better represent our vibrant community.
|
In the News
Job growth in the Greater Hermiston area has lifted the region's economic outlook, including adding new jobs through data centers. (Watch the Apple Valley News report) and (Read the OPB report)
What does 50 years of dedicated community service look like? Margaret Saylor spoke with Northeast Oregon Now about her historic time on the Hermiston Planning Commission. (Read the Northeast Oregon Now article)
Speaking of public service, congrats to Hermiston's Kelly Bissinger, who was selected as the 2025 Oregon School Board Member of the Year by the Oregon School Boards Association. (Read the East Oregonian article)
Hermiston Police Chief Jason Edmiston joined Erick Olson on The Odds & Ends Show on Sept. 23 to talk about local public safety issues (link below)
|
 |
|
|
CITY COUNCIL REPORT |
 |
Council Makes Room For Development in UGB |
The Hermiston City Council has approved expanding the Urban Growth Boundary by 810 acres in the South Hermiston Industrial Park to support future hyperscale data centers. The annexation increases the city’s size by nearly 20%.
“This is a big step for us,” said Mayor Doug Primmer. “It opens our area up to more growth and new jobs.”
The expansion addresses a shortage of large industrial sites identified in the city’s 2024 Economic Opportunities Analysis and will now move to Umatilla County for co-adoption this fall.
|
Read the Release
|
|
Approved renewing an existing franchise agreement with RSA #2 to operate small cell wireless facilities in Hermiston. (Read staff report)
Introduced the 2025-26 Youth Advisory Council.
Received a report on the new location of the 100-space EOTEC RV Park, which will be funded by Amazon Web Services. (Read the article)
Recommended the appointment of David Drotzmann, Monique Brandley, Karyn Jones, Paul Wolverton, Kyndra Stone, Rod Hardin and Val Hoxie to the Charter Review Committee.
Approved forming a Local Improvement District to upgrade NW 2nd Street between W. Elm Avenue and W. Cherry Avenue, a key connector expected to see higher traffic volumes following upcoming changes at the Elm Avenue/Highway 395 intersection. (Read the release)
Notified the public that candidate filing has begun for 2026 Primary Election. (Read the staff report)
Received August 2025 Financial Report. (Read the report)
Toured the Hermiston Public Safety Center to see the renovations underway. (Read the Hermiston Herald article)
|
|
|
OCTOBER 2025 MEETINGS
|
Wednesday, October 1, 4 p.m. — Airport Advisory Committee
Tuesday, October 7, 4 p.m. — Faith-Based Advisory Committee
Wednesday, October 8, 7 p.m. — Planning Commission
Thursday, October 9, 5:30 p.m. — Parks & Recreation Advisory Committee
Monday, October 13, 5:30 p.m. — Public Finance Committee
Monday, October 13, 7 p.m. — City Council
Monday, October 20, 7 p.m. — Hispanic Advisory Committee
Wednesday, October 22, 5 p.m. — Library Board
Monday, October 27, 7 p.m. — City Council
The City of Hermiston is currently seeking members for the following committees: Budget, Faith-Based Advisory, Recreation Project Funds Advisory, Parks & Recreation, Library Board, Airport Advisory & EOTEC. Learn more and apply to join.
|
|
|
COMING UP |
|
Treats on Main & Beyond
Come join us on Halloween (Friday, Oct. 31) for a safe and fun Trick-or-Treat activity in Downton Hermiston. Businesses will have signs in their windows inviting you in to collect treats. Afterwards, join us at the Hermiston Community Center for carnival games, haunted house, prizes, and much more for all ages. Opportunities for volunteering are available. (Sign up to hand out treats)
Coming Up at the Community Center:
Community Yard Sale (Oct. 4)
Hispanic Heritage Month Celebration (Oct. 4)
Service Organization Fair (Oct. 16)
|
Hermiston Live Calendar
|
|
|
SURVEY |
|
Last Call for Comments on Carnegie Building |
The first survey on the Carnegie Building's future will close at the end of October, so if you haven't shared your thoughts yet, now is the time! In the following months we will be asking more detailed questions based on the responses we've received so far. Thank you for sharing and we look forward to developing this facility together.
|
Take the Survey
|
|
|
|
|
|
|
|